4.5.20211216
Q4 - Update of 12/16/2021
1.) In the Administration of a Client under Presentation, you can specify whether the entire path should be displayed in the header of the Dashboards. By default, the first Groupname and the respective Dashboard are always displayed.

| Setting with path | Setting without path (default) | 
|  
 |  
 | 
2.) The Widget: Single Signal now allows you to edit the Conditions configured to the signal in the Dashboard.

Configuration of the conditions

Management of the conditions in the dashboard
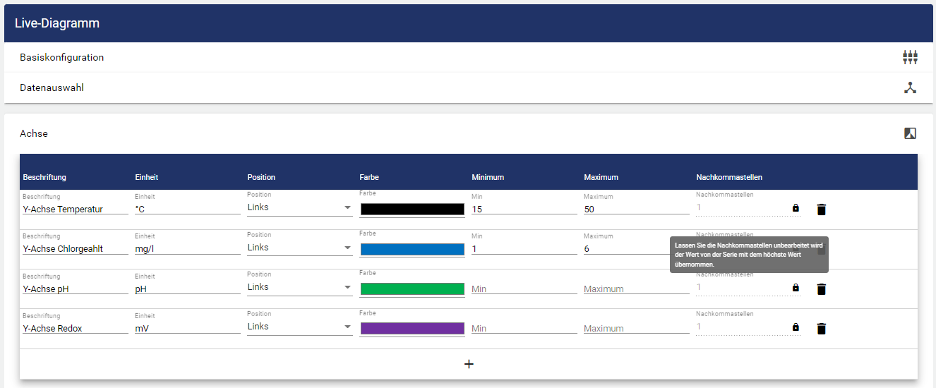
3.) In the Widget: XY-Chart and the Widget: Live-Chart, in the Axis and Series tab, the decimal places from the previously configured Signal in Axis and Series are automatically adopted from the configuration. However, an individual change is possible in the configuration of the widget.


4.) Introduction of a partial SCADA. Enables autonomous on-site visualization and control, even without an Internet connection. The partial SCADA synchronizes with a higher-level skin SCADA or the JUMO Cloud.
- Major advantage: The partial SCADA can work autonomously without an Internet connection (Widget: Switch Schedule , Widget: Manual Data Widget , etc.) 
- Partial SCADA synchronizes with main SCADA or JUMO Cloud client if connection available 
- Partial SCADA can also be used with JUMO Cloud 
- Synchronization of a Client adjustable in Administration: Synchronisation 

5.) JUMO-Animator Extension with the ability to now directly call up charts within process screens. If there is an option to call up a chart, an icon like the one shown here is displayed.


6.) Product family JUMO variTRON extended by JUMO variTRON 300. Now there is an inexpensive alternative to the JUMO variTRON 500 for transferring your data quickly and easily to the JUMO Cloud. A real advantage for SCADA customers too.

7.) JUMO-Animator now available in English

8.) Revised JUMO installer for JUMO smartWARE SCADA now available in English and in Night mode
| Normal Mode | Night Mode | 
|---|---|
|  
 |  | 
9.) Bug fixing and maintenance
10) Technical information: Frontend now on Angular 13. Backend on Dotnet 6
