How can type additions (functions) be activated?

Functions can only be activated directly on the variTRON via the WebCockpit.

The WebCockpit of a variTRON is reached via its IP address “http://<device-ip>:8090”.
If the WebCockpit is opened for the first time, a user name and the corresponding password are required for authentication (when the variTRON is delivered, the user name is "Master" and the password is "9200").

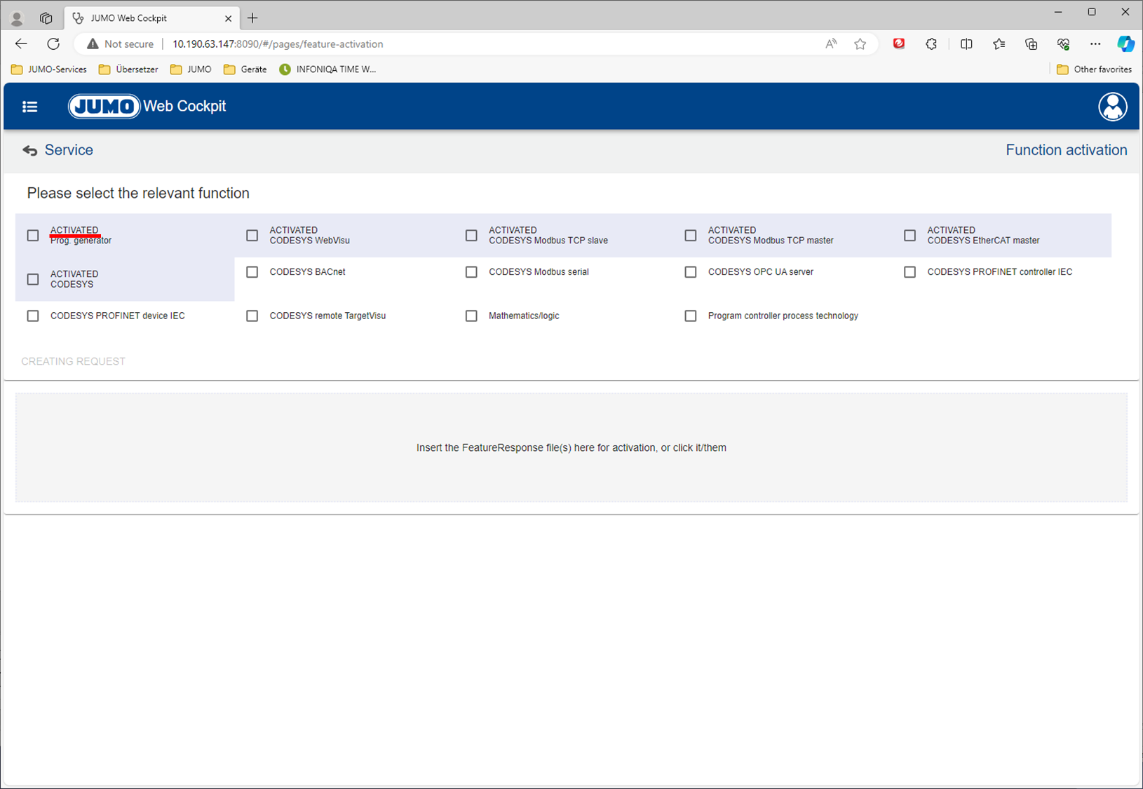
All available functions are displayed under Service → Function activation.
Activated functions are marked with the extra text “ACTIVATED”.

image-20231129-131240.png

If further functions are to be activated, the desired functions must be selected and then the CREATING REQUEST button pressed.

image-20231129-131915.png

Send the created files for the JUMO contact person.

image-20231129-132326.png

Using the generated files, the JUMO contact person can generate the activation files and send them back. These activation files can either be dragged and dropped directly into the area marked in red, where they are processed immediately and the functions are activated.

Alternatively, you can also open a file selection window by clicking in the field outlined in red and transfer the activation files in this way. After importing the activation files, the functions are activated directly.

image-20231129-132937.png